市営飯塚耐火住宅跡地活用にかかる意見募集について
更新日:2026年01月19日
本市では、市営住宅の跡地活用において地域貢献施設の誘致を検討しており、誘致実施に向けて事業者の皆さまから幅広く意見を募集いたします。
事業に関心のある事業者の方は、事業の詳細についてご説明いたしますので下記問い合わせ先までご連絡ください。(メール推奨)
1 事業の概要
市営住宅の跡地を活用して、周辺地域に貢献するサービスを提供し、地域住民の安全・安心な暮らしを支援するため、民間活力の導入により地域に貢献する施設を誘致するもの。
2 事業用地の概要
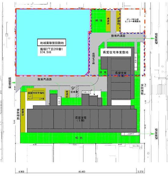
(1)地番
埼玉県川口市飯塚3丁目269番1
(2)面積
874.90平方メートル
3 事業手法等(想定)
事業用地について定期借地権設定契約を交わし、民間事業者による施設建設、独立採算型事業を行っていただくことを想定しております。
4 受付期間
令和8年3月31日まで
5 土地利用計画図

6 建物イメージ

- お問い合わせ
-
住宅政策課 住宅整備係
所在地:〒332-8601 川口市青木2-1-1(第一本庁舎3階)
電話:048-242-6325
電話受付時間:8時30分~17時15分(土曜日、日曜日、祝日、休日、年末年始を除く)
ファックス:048-258-4087
メールでのお問い合わせはこちら


